Inkrafttreten des vorhabenbezogenen Bebauungsplans „Schwalbenhälde 5-9 – Neubau kath. Gemeindezentrum Heilig Kreuz“ im beschleunigten Verfahren nach § 13a BauGB
Aufgrund von §§ 10, 12 des Baugesetzbuches (BauGB) i.V.m. § 4 der Gemeindeordnung für Baden-Württemberg (GemO) sowie § 74 der Landesbauordnung von Baden-Württemberg (LBO) in der zurzeit gültigen Fassung hat der Gemeinderat der Stadt Besigheim am 27.01.2026 den vorhabenbezogenen Bebauungsplan „Schwalbenhälde 5-9 – Neubau kath. Gemeindezentrum Heilig Kreuz“ mit Textteil einschließlich örtlicher Bauvorschriften und des Vorhaben- und Erschließungsplanes als jeweils selbständige Satzung beschlossen.
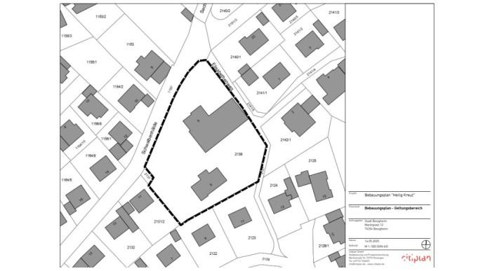
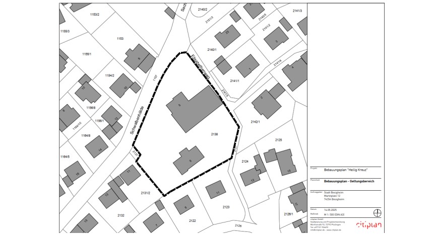
Der räumliche Geltungsbereich des vorhabenbezogenen Bebauungsplans umfasst das Grundstück Flst.-Nrn. 2138 auf der Gemarkung Besigheim. Er ergibt sich aus dem folgenden Kartenausschnitt (unmaßstäbliche Darstellung):
Maßgebend ist der zeichnerische Teil (Lageplan) des vorhabenbezogenen Bebauungsplans mit Textteil und Begründung in der Fassung vom 17.11.2025.
Der vorhabenbezogene Bebauungsplan wurde im Verfahren für Bebauungspläne der Innenentwicklung gem. § 13a BauGB aufgestellt.
Der vorhabenbezogene Bebauungsplan „Schwalbenhälde 5-9 – Neubau kath. Gemeindezentrum Heilig Kreuz“ einschließlich der örtlichen Bauvorschriften tritt mit dieser Bekanntmachung in Kraft (vgl. § 10 Abs. 3 BauGB).
Das Original des vorhabenbezogenen Bebauungsplans mit Begründung einschließlich des Vorhaben- und Erschließungsplans können kostenlos bei der Stadtverwaltung Besigheim im Rathaus, Marktplatz 12, zweiter Stock, Zimmer 208, während der üblichen Öffnungszeiten eingesehen werden. Jedermann kann den Bebauungsplan einsehen und über seinen Inhalt Auskunft verlangen. Die Unterlagen können auch im Internet unter der Rubrik: Abgeschlossene Bebauungsplanverfahren abgerufen werden.
Gesetzliche Wirksamkeitsvoraussetzungen:
Unbeachtlich werden: 1. eine nach § 214 Absatz 1 Satz 1 Nr. 1 bis 3 BauGB beachtliche Verletzung der dort bezeichneten Verfahrens- und Formvorschriften, 2. eine unter Berücksichtigung des § 214 Abs. 2 BauGB beachtliche Verletzung der Vorschriften über das Verhältnis des Bebauungsplans und des Flächennutzungsplans und 3. nach § 214 Abs. 3 Satz 2 BauGB beachtliche Mängel des Abwägungsvorgangs und 4. beachtliche Fehler nach § 214 Abs. 2a BauGB, wenn sie nicht schriftlich innerhalb eines Jahres seit dieser Bekanntmachung geltend gemacht worden sind. Der Sachverhalt, der die Verletzung oder den Mangel begründen soll, ist dazulegen. Auf die Vorschriften des § 44 Abs. 3 Satz 1 und 2 BauGB über die Geltendmachung von Planungsschadensersatzansprüchen durch Antrag an den Entschädigungspflichtigen (vgl. § 43 BauGB) im Fall der in den §§ 39 bis 42 BauGB bezeichneten Vermögensnachteile wird hingewiesen. Gemäß § 44 Abs. 4 BauGB erlischt ein Entschädigungsanspruch, wenn nicht innerhalb von drei Jahren nach Ablauf des Kalenderjahres, in dem die in § 44 Abs. 3 Satz 1 BauGB bezeichneten Vermögensnachteile eingetreten sind, die Fälligkeit herbeigeführt wird. Hier bedarf es eines Antrags an den Entschädigungspflichtigen. Soweit der Bebauungsplan und die Satzung über die örtlichen Bauvorschriften unter Verletzung von Verfahrens- oder Formvorschriften der Gemeindeordnung für Baden-Württemberg (GemO) in der aktuellen Fassung oder auf Grund der GemO zu Stande gekommen ist, gelten sie ein Jahr nach der Bekanntmachung als von Anfang an gültig zu Stande gekommen (§ 4 Abs. 4 Satz 1 GemO). Dies gilt nicht, wenn die Vorschriften über die Öffentlichkeit der Sitzung, die Genehmigung oder Bekanntmachung des Bebauungsplans und der Satzung über die örtlichen Bauvorschriften verletzt worden sind (§ 4 Abs. 4 Satz 2 Nr. 1 GemO), der Bürgermeister dem Satzungsbeschluss nach § 43 GemO wegen Gesetzwidrigkeit widersprochen hat, wenn vor Ablauf der Jahresfrist die Rechtsaufsichtsbehörde den Beschluss beanstandet hat oder die Verletzung der Verfahrens- oder Formvorschriften gegenüber der Stadt Besigheim unter Bezeichnung des Sachverhalts, der die Verletzung begründen soll, schriftlich oder elektronisch geltend gemacht worden ist (§ 4 Abs. 4 Satz 2 Nr. 2 GemO). Ist eine Verletzung nach § 4 Abs. 4 Satz 2 Nr. 2 GemO geltend gemacht worden, so kann auch nach Ablauf der Jahresfrist jedermann diese Verletzung geltend machen. Die Verletzungen sind schriftlich oder elektronisch gegenüber der Stadt Besigheim, Marktplatz 12, 74354 Besigheim, geltend zu machen.
Besigheim, 29.01.2026
Bürgermeisteramt
gez. Dr. Bargmann
Bürgermeister
III/Ek/- 621.41

