Vorhabenbezogener Bebauungsplan„Schwalbenhälde 5-9 - Neubau kath. Gemeindezentrum Heilig Kreuz“im beschleunigten Verfahren nach § 13a BauGB
- Offenlage Bebauungsplanentwurf -
Der Gemeinderat der Stadt Besigheim hat am 09.09.2025 in öffentlicher Sitzung beschlossen, den vorhabenbezogenen Bebauungsplan und die zugehörigen örtlichen Bauvorschriften mit Vorhaben- und Erschließungsplan „Schwalbenhälde 5-9 – Neubau kath. Gemeindezentrum Heilig Kreuz“ gem. § 12 BauGB i.V.m. § 2 Abs. 1 BauGB im beschleunigten Verfahren nach § 13a BauGB aufzustellen. Gleichzeitig wurde der Entwurf des vorhabenbezogenen Bebauungsplans gebilligt und dessen öffentliche Auslegung beschlossen.
Der vorhabenbezogene Bebauungsplan umfasst folgende Satzungen:
a) Satzung über planungsrechtliche Festsetzungen (§ 10 BauGB)
b) Satzung über örtliche Bauvorschriften (§ 74 LBO)
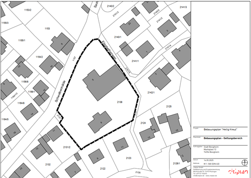
Der räumliche Geltungsbereich des vorhabenbezogenen Bebauungsplans umfasst das Grundstück Flst.-Nrn. 2138 auf der Gemarkung Besigheim. Er ergibt sich aus dem folgenden Kartenausschnitt (nicht maßstabsgerecht):

Maßgebend sind der Entwurf des vorhabenbezogenen Bebauungsplans mit Textteil und Begründung in der Fassung vom 25.07.2025.
Es wird darauf hingewiesen, dass im beschleunigten Verfahren keine Umweltprüfung stattfindet (§ 13 Abs. 3 BauGB). Der vorhabenbezogene Bebauungsplan wird im beschleunigten Verfahren nach § 13a BauGB ohne Durchführung einer Umweltprüfung nach § 2 Abs. 4 BauGB aufgestellt. Ein Umweltbericht nach § 2a BauGB ist nicht erforderlich.
Anlass, Ziel und Zweck der Planung
Im Rahmen einer Standortentwicklung möchte die katholische Kirchengemeinde Besigheim am Standort in der Schwalbenhälde den Neubau eines Gemeindehauses mit Pfarrbüroräumen und Pfarrwohnung verwirklichen. Durch den Neubau neben der katholischen Kirche sollen die Funktionen Gemeinderäume, Pfarrbüro und Pfarrwohnung konzentriert werden. In direkter Nachbarschaft zur Pfarrkirche soll durch den Neubau und die dadurch entstehende städtebauliche Raumsituation und Neugestaltung der Freiräume ein neues Zentrum der katholischen Kirche Heilig Kreuz in Besigheim entstehen. Die Errichtung eines modernen und kompakten Neubaus soll eine deutliche Energieeinsparung für die kommenden Jahre erzielen sowie helle, freundliche und barrierefreie Räume für die Kirchengemeinde bieten. Die Konzentration aller Einrichtungen an einem Standort bietet für das Feiern kirchlicher Feste deutliche Vorteile. Um eine gute angemessene Architektur, Stadtgestaltung und Freiraumgestaltung zu erreichen, wurde 2024 ein Architektenwettbewerb durchgeführt. Das Architekturbüro Dongus aus Ludwigsburg wurde mit dem 1. Preis ausgezeichnet und anschließend mit der weiteren Entwurfsplanung beauftragt. Das Plangebiet befindet sich im Geltungsbereich des Ortsbauplanes „Schwalbenhälde-Spindelberg“ vom 28.06.1955. Zusätzlich gelten die Bauvorschriften zum Ortsbauplan vom 02.12.1955. Die Bauvorschriften regeln u. a., dass im Baugebiet, abgesehen von kleineren Nebengebäuden, nur Gebäude erstellt werden dürfen, die ausschließlich zum Wohnen bestimmt sind. Darüber hinaus sind Teile des Grundstücks mit einem Bauverbot belegt. Für die Umsetzung des Vorhabens ist deshalb das Verfahren eines vorhabenbezogenen Bebauungsplans erforderlich.
Auslegung
Der Entwurf des vorhabenbezogenen Bebauungsplans „Schwalbenhälde 5-9 – Neubau kath. Gemeindezentrum Heilig Kreuz“, die Satzung über planungsrechtliche Festsetzung und die Satzung über die örtlichen Bauvorschriften, samt Textteil und Begründung, der Vorhaben- und Erschließungsplan sowie die Anlagen
- Freiflächengestaltungsplan (freiraumconcept vom 24.07.2025)
- Artenschutzrechtliche Relevanzprüfung (Pustal Landschaftsökologie und Planung vom 26.05.2025)
werden vom
23.09.2025 bis 24.10.2025- je einschließlich -
im Internet unter https://www.besigheim.de/rathaus-und-service/dienstleistungen/bebauungsplanverfahren/aktuelle-bebauungsplanverfahren veröffentlicht.
Neben der Veröffentlichung im Internet werden vom 23.09.2025 bis 24.10.2025 - je einschließlich - alle o. g. Unterlagen im Rathaus Besigheim, Marktplatz 12, 74354 Besigheim, zweiter Stock, westlicher Vorraum (Enzseite) während der Öffnungszeiten zu jedermanns Einsicht öffentlich ausgelegt. Nach vorheriger Kontaktaufnahme mit dem Fachbereich Stadtentwicklung und Bauverwaltung unter der Telefonnummer 07143 8078-221 kann, wenn erwünscht, ein Termin zur Erläuterung der Unterlagen vereinbart werden.
Abgabe von Stellungnahmen
Während der Dauer der Veröffentlichungsfrist können Stellungnahme durch jedermann (hierzu zählen auch Kinder und Jugendliche) abgegeben werden. Diese sollen elektronisch per E-Mail an stadtentwicklung@besigheim.de übermittelt werden. Bei Bedarf können diese aber auch auf anderem Weg abgegeben werden, insbesondere kann dies schriftlich oder zur Niederschrift in der Planauslage erfolgen (Rathaus Besigheim, Fachbereich Stadtentwicklung und Bauverwaltung, Zimmer 208, Marktplatz 12, 74354 Besigheim).
Es wird darauf hingewiesen, dass nicht fristgerecht abgegebene Stellungnahmen bei der Beschlussfassung über den Bebauungsplan unberücksichtigt bleiben können.
Bei elektronisch oder schriftlich vorgebrachten Stellungnahmen sollen die volle Anschrift und ggf. auch die Bezeichnung des betroffenen Grundstücks angegeben werden. Der Gemeinderat entscheidet über die Stellungnahmen in öffentlicher Sitzung. Dabei werden die Stellungnahmen der Öffentlichkeit nur in anonymisierter Form zur Verfügung gestellt.
Bitte beachten Sie, dass bei der Bearbeitung der von Ihnen abgegebenen Stellungnahmen im Rahmen der Öffentlichkeitsbeteiligung bei Bauleitplanverfahren durch die Stadt Besigheim personenbezogene Daten (Vor- und Nachname, Adresse, E-Mail-Adresse und ggf. Anrede, Telefon, Fax) verarbeitet werden. Rechtsgrundlage hierfür ist Art. 6 Abs. 1 Buchstabe e DatenschutzGrundverordnung (DSGVO) in Verbindung mit § 4 Landesdatenschutzgesetz (LDSG) in Verbindung mit § 3 BauGB. Grundsätzlich wird auf die Datenschutzerklärung der Stadt Besigheim (https://www.besigheim.de/datenschutzerklaerung) verwiesen.
Besigheim, den 10.09.2025
Bürgermeisteramt
gez.
Eckert-Maier
Erste Beigeordnete
III/Ek - 621.41
